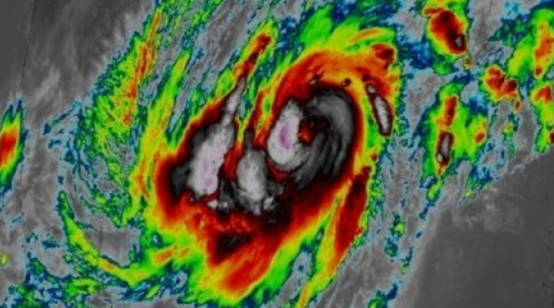
Ciclone ‘gigantesco’ se aproxima do Chile, deve trazer chuvas intensas nos próximos dias e preocupam meteorologistas
Os meteorologistas estão atentos a um evento climático significativo esperado na próxima semana . Tanto o modelo do Centro Europeu de
Ler mais